
Informazioni di carattere generale
La nottua della barbabietola (Spodoptera exigua) è diventato un problema persistente per gli orticoltori a causa della sua resistenza a quasi tutti gli insetticidi e alla sua capacità di svilupparsi nella piante spontanee durante l'estate. È altamente polifago e si nutre a spese di piante appartenenti a oltre 20 famiglie vegetali. È un dannoso fitofago nelle serre, dove si nutre di piante ornamentali come il crisantemo, la gerbera, la rosa e altre piante in vaso. Sia in serra che in campo aperto, è un importante parassita del peperone.
Ciclo biologico e aspetto della Nottua della barbabietola
La nottua della barbabietola (Spodoptera exigua) è una piccola falena che si nasconde durante il giorno ed è attiva solo di notte. Le ali anteriori sono di colore grigio-marrone con piccole macchie marrone scuro o nero. La testa e il torace sono marroni e l'addome grigio-marrone. Le ali anteriori hanno una macchiagiallastra a forma di rene. Le ali posteriori bianche hanno una venatura marrone chiaramente delineata.
La nottua della barbabietola (Spodoptera exigua) depone le uova a gruppi, a volte su più strati, su un ammasso di soffici peli bianchi e scaglie provenienti del corpo della falena stessa. Le uova sono solitamente grigie ma a volte possono essere verdastre o rosate. Queste vengono deposte durante la notte, preferibilmente nella parte bassa della coltura o sulla pagina inferiore delle foglie, a gruppi da 10 a 250 unità.
Si schiudono dopo diversi giorni, rivelando piccoli bruchi di colore variabile da bruno-giallastro a giallo-verde. Il loro colore cambia gradualmente in giallo, verde, marrone o nero. Il colore dei bruchi è molto variabile e dipende in parte dalla pianta ospite, dallo stadio di sviluppo e dal clima. Una larva di ultimo stadio di nottua della barbabietola (Spodoptera exigua) può avere una lunghezza compresa tra 25 e 38 mm, con bande scure e rugose sul dorso e una fascia gialla che corre lungo il corpo su entrambi i lati, sopra la quale si trova un punto nero su ciascun segmento.
I bruchi giovani vivono in gruppi e intessono tele sulle foglie, sotto le quali rimangono fino al terzo o al quarto stadio. I bruchi più anziani si spostano e sono in grado di coprire distanze considerevoli. Pertanto, bruchi nati dallo stesso gruppo di uova possono causare danni in vari punti della stessa coltura. La nottua della barbabietola (Spodoptera exigua) si nutre principalmente di notte nascondendosi durante il giorno, gli esemplari più giovani, tuttavia, si nutrono durante il giorno. Le larve di ultimo stadio si spostano a terra in preparazione della trasformazione in pupa. Anche se a volte la trasformazione in pupa avviene nella coltura, di solito si svolge sulla superficie del terreno in un bozzolo intessuto in modo approssimativo, costituito da particelle di terreno incollate insieme con una secrezione appiccicosa. Le pupe sono marroni ed hanno una lunghezza compresa tra 15 e 20 mm, assomigliano a quelle di altre nottue. Dopo cinque o dieci giorni, dalla pupa emerge l’adulto.
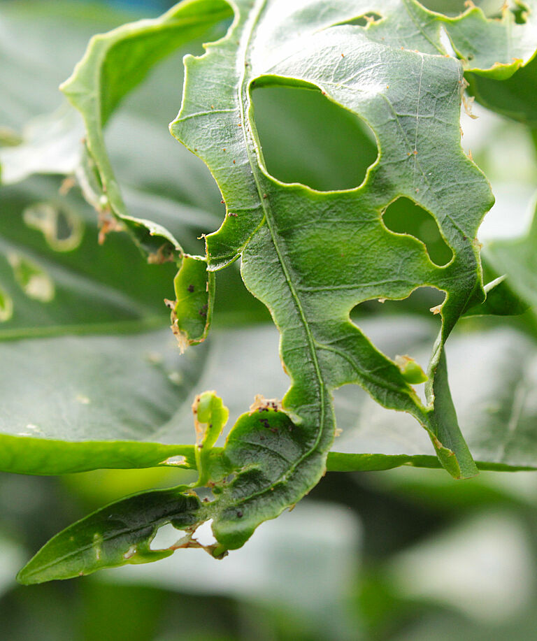
Sintomi di danno
Le larve di ultimo stadio migrano verso la parte superiore della pianta, dove si nutrono principalmente delle estremità in crescita. Producono fori di grandi dimensioni nelle foglie, mangiando la foglia fino a metà nervatura. Anche fiori e boccioli vengono attaccati. Questo danno su larga scala ha conseguenze importanti per la crescita della coltura. Con una popolazione di larve notevole, il danno può diffondersi agli steli e nei casi peggiori al frutto. Quando ciò accade l’intero contenuto del frutto viene consumato . Nelle colture ornamentali, il danno peggiore è causato da attacchi a fiori e boccioli.




























